Nire karpeta
eu
es
Nire karpeta
Euskara
Español
Mapak
Lan Eskaintza
Kontratatzailearen profila
Herritarren postontzia
26ºC
Home
Tramite eta Zerbitzuak
Hiria
Udala
Turismoa
Bilatu
26ºC
Tramite eta Zerbitzuak
Hiria
Udala
Turismoa
  Txiokatu
Partekatu
Hirigintzako arauak: 5 - ANTIGUO_ONDARRETA
ANTIGUO ONDARRETA ARAUAK
Egungo Egoera. Mugaketa
Zonagintza Orokorra
Xehetasuneko Zonagintza
Garapen, Hirigintza kudeaketa eta Exekuziorako Baldintzak
Kosta Legea
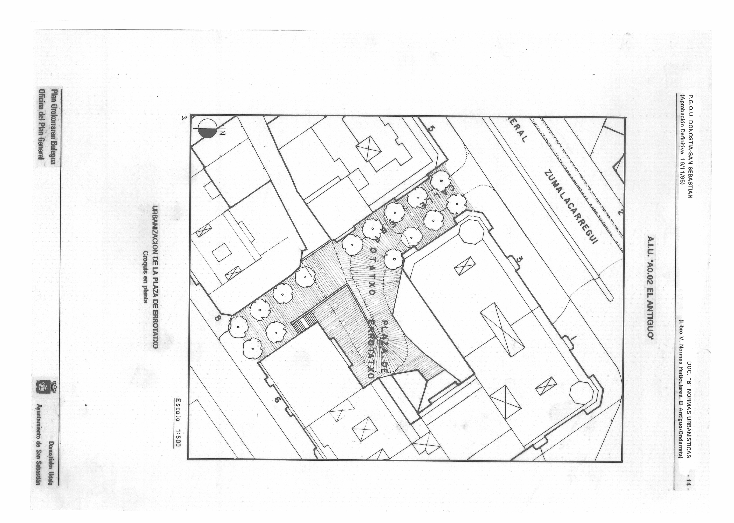
AO.02-1
AO.02-2
AO.02-3
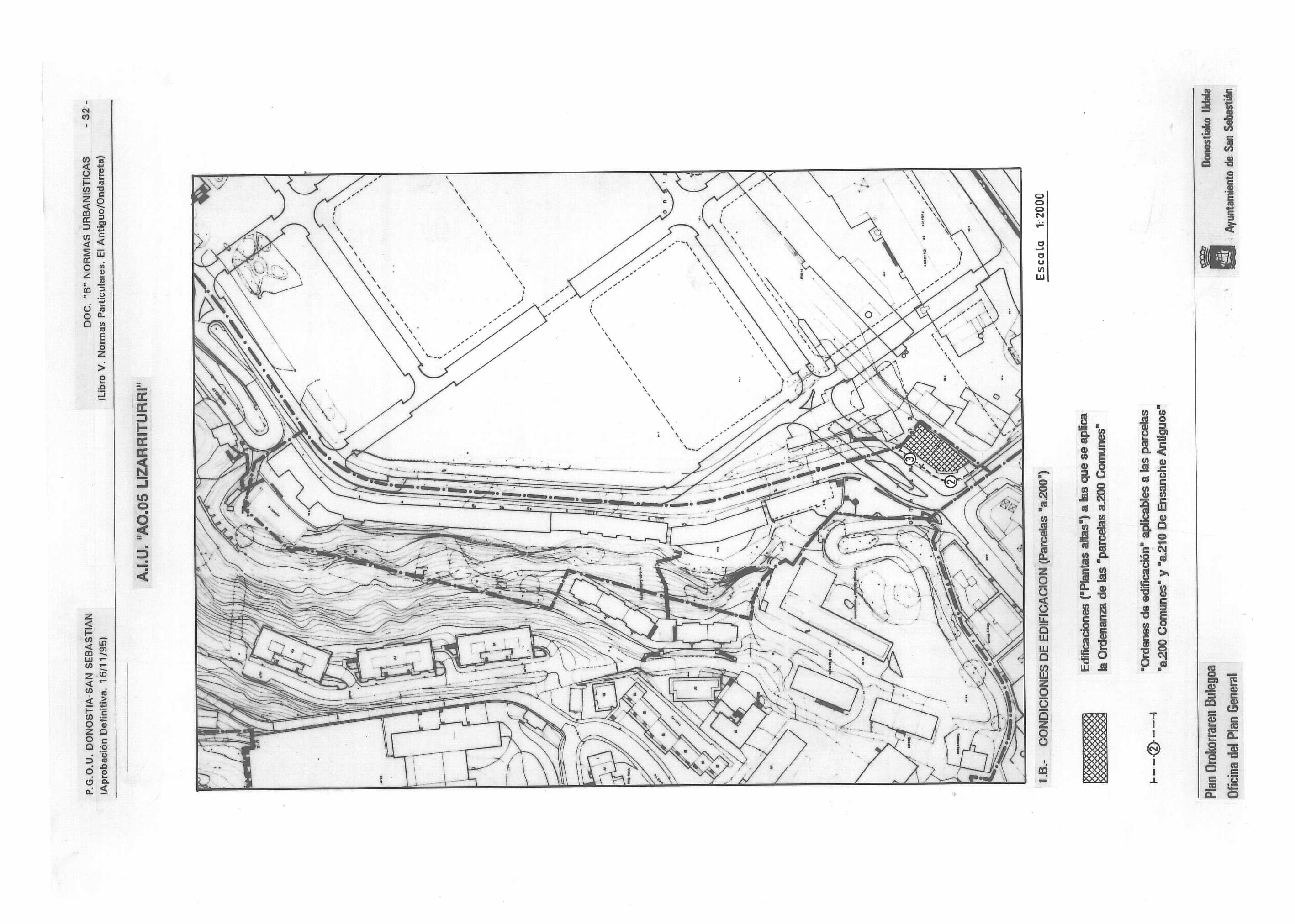
AO.05-1a
AO.05-1b
AO.07-1
AO.08-1
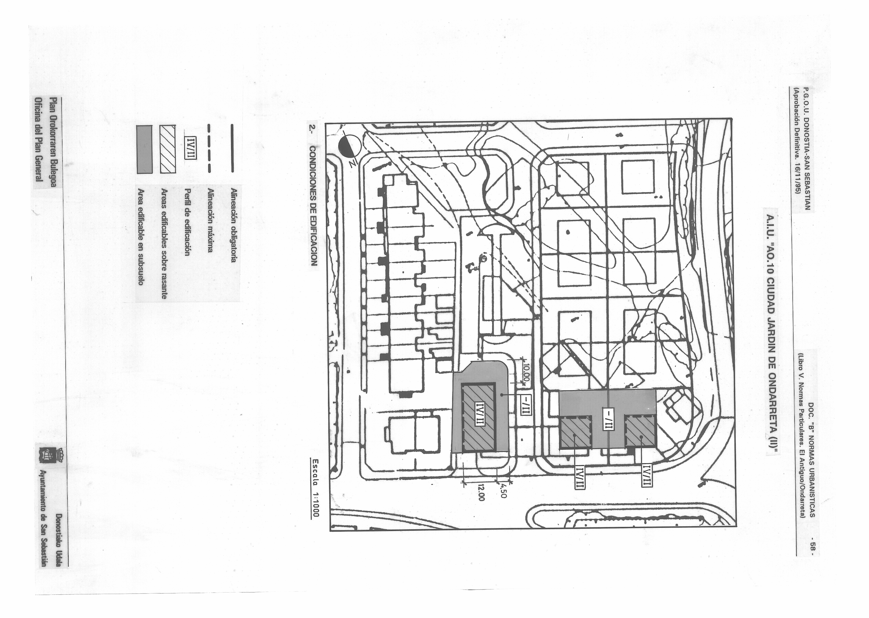
AO.10-1
AO.10-2